ООО "Специализированный застройщик "Эталон Пушнин" готовит проект планировки с проектом межевания территории. Опубликовано соответствующее распоряжение КГА.
Распоряжение действует до 25 декабря 2026 года.
“
"Осуществить подготовку проекта планировки и проекта межевания. Утвердить задание на подготовку проекта планировки и проекта межевания", — указано в документе.
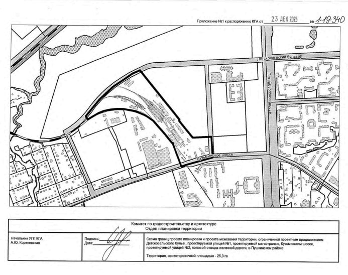
Территория ограничена продолжением Детскосельского бульвара, проектируемой улицей №1, проектируемой магистралью, Кузьминским шоссе, проектируемой улицей №2, полосой отвода железной дороги в Пушкинском районе.
Согласно распоряжению, там планируют возвести объекты среднеэтажной жилой застройки, детский сад и школу, поликлинику, спортивные площадки. Построят также объект обеспечения внутреннего правопорядка и паркинг.
Первый этап работы планируется завершить до 25 марта 2026 года, а второй этап — не позднее 25 ноября 2026 года на собственные средства девелопера.
Застройщик должен будет выделить элементы планировочной структуры, установить границы территорий общего пользования, установить границы планируемого размещения объектов капитального строительства, а также определить характеристики и очерёдность планируемого развития территории.
Данная территория расположена недалеко от исторического павильона "Царский вокзал", реставрацию которого анонсировали в 2023 году. Предполагается, что он станет одной из опорных точек дальнейшего возрождения Фёдоровского городка и Фермского парка. Здесь планируется восстановить не только сам вокзал и перрон, но и уникальные росписи.
"ДП" писал, что на юге Пушкина тем временем готовят ещё одну застройку почти на 25 га. На территории Гуммолосар ООО "СЗ "Полис Южный 13" намерено реализовать малоэтажный жилой комплекс комфорт-класса, а также построить два детских сада на 190 и 220 мест и школу на 825 учеников. В ноябре Градкомиссия вернула компании документы на доработку.


