14:3815 апреля 2026
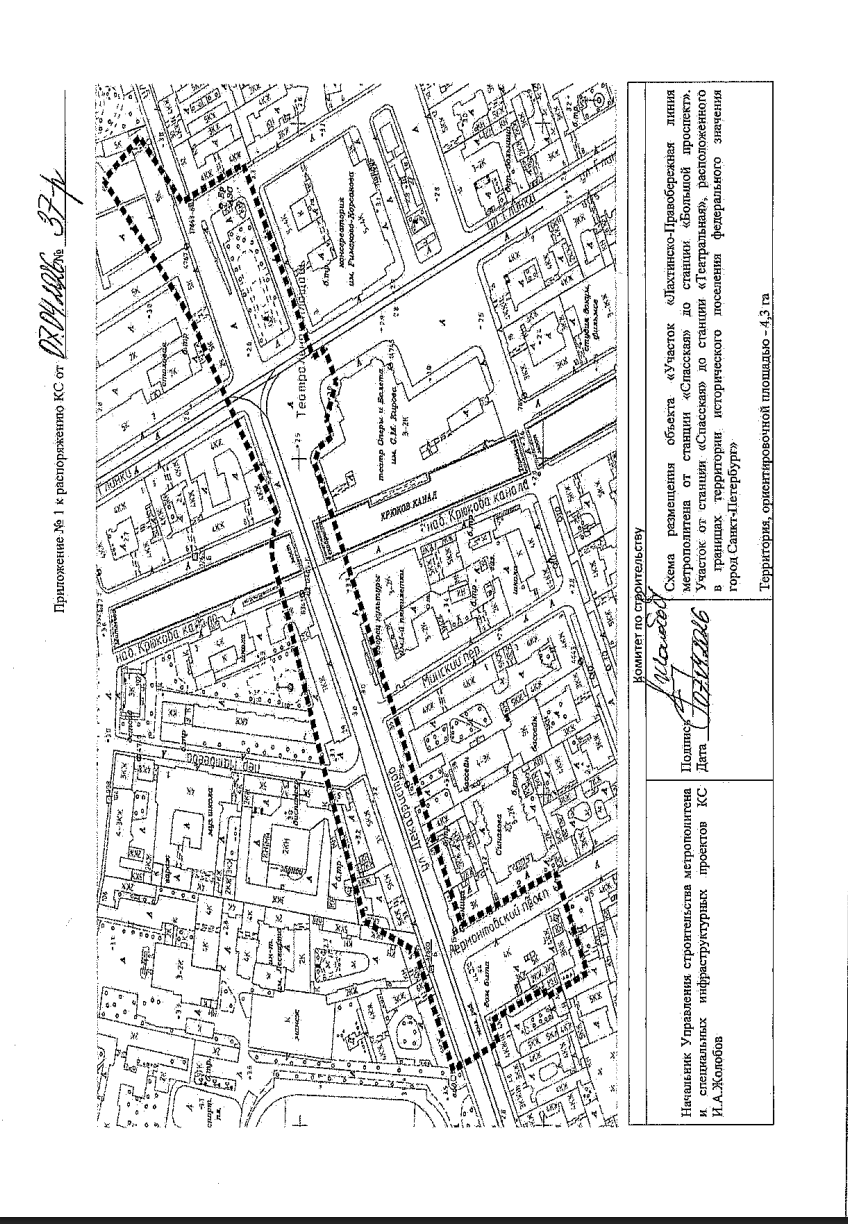
Комитет по строительству Санкт-Петербурга внесёт изменения в проект планировки территории (ППТ) для размещения вестибюлей строящейся станции метро "Театральная". Соответствующее уведомление было опубликовано 14 апреля.
Согласно документу, срок подготовки скорректированной документации установлен до 6 октября 2027 года.

Среди основных целей корректировки указаны уточнение характеристик объектов капитального строительства и перечня образуемых земельных участков, а также исправление технических ошибок в текущем проекте.
Несмотря на внесение изменений в ППТ, концепция расположения выходов со станции не меняется. Согласно существующим схемам, планируются два вестибюля: один — на месте Дома быта на Лермонтовском проспекте, второй — на месте АЗС в Театральном сквере.
Читайте также:
Мариинская впадина: где и когда откроют первый выход со станции "Театральная"
Ещё хоть четверть века: когда построят метро на северо-востоке Петербурга
Беглов назвал годы открытия шести новых станций метро Петербурга
Центральное здание бывшей фабрики "Скороход" приспособят под офисы
Покупать в России выгоднее: Финляндия отложила проект завода чистого аммиака
Ранее вице-губернатор Петербурга Николай Линченко заявил, что станция метро "Театральная" откроется для пассажиров к 2030 году. К этому сроку запланировано строительство выхода на поверхность на углу Лермонтовского проспекта и улицы Декабристов, проект планировки которого уже был утверждён.
"ДП" писал, что Смольный сменил приоритет в строительстве вестибюлей станции метро "Театральная". Первым откроют выход на месте Дома быта. Для владельцев здания это стало неожиданностью. О новых планах по строительству вестибюлей станции также заявлял Линченко в ходе отчёта администрации Адмиралтейского района. По словам чиновника, подземная платформа, работающая пока на прогон поездов, получит первый выход на поверхность к 2030 году. Он расположится на углу ул. Декабристов и Лермонтовского пр., где находится здание Дома быта советской постройки.

