12:0431 марта 2026
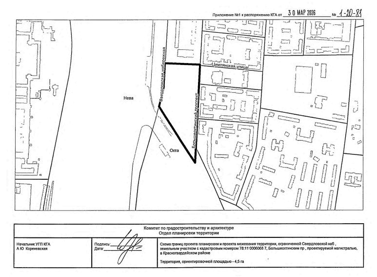
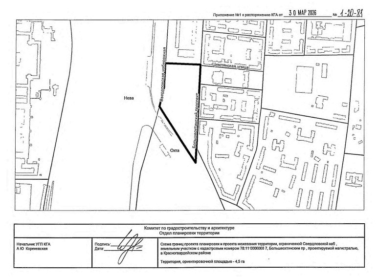
В Петербурге возле гостиницы "Охтинская" возведут объект культурно-досуговой деятельности, указано в распоряжении КГА на портале официального опубликования.
Документ содержит сведения о подготовке проекта планировки территории.

Речь об участке, ограниченном Большеохтинским проспектом, проспектом Шаумяна и улицей Помяловского с частью Якорной улицы и территорией гостиницы "Охтинская".
Первый этап планировки должен быть готов к концу 30 июня, второй будет сформулирован до 30 ноября 2026 года.
Перед этим на данном участке планировали построить жильё для судей Верховного суда РФ.
"ДП" писал, что президент России Владимир Путин ещё в 2012 году предложил перенести Верховный суд РФ из Москвы в Петербург, построив жилой комплекс для судей и судебный квартал на Тучковом буяне. Изначально там же планировали возвести жильё для судей, однако впоследствии ЖК решили возвести рядом с гостиницей "Охтинская".
До этого стало известно, что срок доработки документации на строительство судебного квартала продлили до конца 2024 года, а дату окончания строительства сдвинули с 2024 на 2028 год.
Кроме того, летом 2023 года на Большеохтинском проспекте начались обязательные археологические раскопки, поскольку территория будущей стройплощадки частично попадает в границы объекта культурного наследия "Центральная часть города Ниена (Охта 2): культурный слой". Как рассказывал "Деловой Петербург", специалисты обнаружили под слоем земли две мощённые булыжником дороги, одна из которых была создана в первой половине XIX века.

